代々木上原は徳川家の住宅地だった
代々木上原に住みたいと思ったことがある。40年も前のことである。どうしてそう思ったか忘れた。おそらく雑誌にたまに出ていたのだろう。勤め先だった渋谷に通うのに便利だし、静かだし、何とも言えない上品な落ち着いた雰囲気があった。
それでも引越さなかったのは、きっと自分の払える家賃より1万円ほど高かったからだろう。それもそのはず代々木上原は徳川家の住宅地と知ったのはやっと十数年前のことだ。この地は、田園調布や成城のように都市計画史上、あるいは田園都市開発史上に出てくるところではない。だから私の知識になかなか入ってこなかったのである。
そもそも代々木上原というと小田急線代々木上原駅の南口ばかり私は行っていた。地名が上原だからだろう。北口の大山は知識としては「大山園」というものがあって、高級住宅地だと、長谷川徳之助の名著『東京の宅地形成史』を読んで知っていたが、高級なだけでは私が訪ねねばならない理由にならなかった。
だがしかし、私はここまでいろいろ高級から中流、ニュータウンから下町の住宅地跡まで歩いてきて、大山園をちゃんと見ずにいるのはおかしいと思い、ようやく彼の地を訪れることにした。
特にきっかけとなったのは、ネットで大山園にはユニクロの柳井社長の大豪邸があると知ったからである。8,800m2、サッカーコートがゆうゆう入るくらいの大きさで、テニスコートもあるらしい。いや、びっくりである。これを見るだけでも行く価値はある。
木戸孝允から土地は変遷した
大山という名前は地形的に山になっているからだと思うが、渋谷から神奈川県の大山への大山街道に出るための道があったからという説もある。
「大山園」とは、鈴木善助という地主が、明治末期かと思うが、このあたりの土地を買い、1913年(大正2)に公園を作って、そこを「大山園」として開放したのが起こりだという。
大山全体では7万6千坪(25万m2)。中央の庭園が2万坪超え。園内は鬱蒼たる森で、滝もあり、休憩台もあって、3ヶ所に四阿(あずまや)があったというから大名庭園か公園かというところだった。そこが柳井邸になったのだ。
大山は、明治の段階では元勲・木戸孝允の土地であった。駒場、代々木あわせて8万坪ほどの地所を持っていたというが、これが死後、青木周蔵という人物の手に渡った。
青木は長州の医者の三浦家の生まれだが(私とは無関係)、優秀だったので御殿医の青木家の入り婿となり、青木家の隣にいた木戸の推薦でドイツに医学生として留学。ついでに政治、法律を学び、在学中にもかかわらずベルリン公使館1棟書記官心得となり、そのままベルリン公使となり、帰国後は外務大臣になったという俊秀。
当時の東京は大名家の土地が放置されていたが、青木はベルリンでプロシア流の農林業を学んでもいたので、大名の土地を農地用に購入した。木戸の土地が欲しいと思い、実父に相談し、結局青木の実弟の三浦泰輔の所有となった。泰輔もドイツ農学校に留学し、帰国後、富ヶ谷と駒場で農業・牧畜を行った。
また泰輔はその後実業家としても大成し、甲武鉄道(今の中央線)、恵比寿麦酒、京浜電鉄(今の京浜急行)の社長を歴任した。一方、青木周蔵の方は、那須に7〜800万坪の土地を得て農業などを行ったという。そして泰輔の土地を買ったのが鈴木善助だが、購入の経緯の詳細は不明である。
徳川家、前田家、三菱・・・・
しかし大山園ができた段階では、この地は住宅地ではない。住宅地化は1920年代からであり、特に1927年に小田急線ができてからである。だが当初は代々木上原駅ではなく代々幡上原駅といった(41年に代々木上原駅と改名)。
また小学校は1920年に上原小学校ができ、28年に西原小学校ができた。西原小学校の卒業生には女優の吉永小百合、政治家の平沼赳夫らがいる。
住宅地としての分譲は、地主の荻島氏による帝都土地、加賀前田家、箱根土地、山下汽船によって行われた。
前田家は言うまでもなく今は東大のある本郷に上屋敷を持っていたが、東大をつくるために本郷の土地1万2千坪と駒場の東大農学部の土地4万坪と大山の1万坪(井の頭通りの南側の平地)を交換した。
1927年から28年にかけて前田家は駒場に邸宅と書画骨董収蔵のための石造りの収蔵庫を建てた。前田邸は今は近代日本文学館として利用されている。そして同時期から戦後にかけて、大山の1万坪を分譲したらしい。
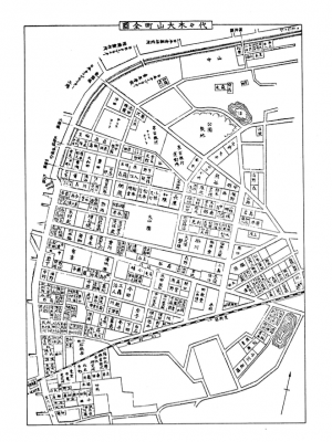
井の頭通りの北側、現在のいわゆる大山では箱根土地(後のコクド)が住宅地分譲をした。図3は1936年の第2次分譲計画図である。また箱根土地は、徳川家が西原三丁目に徳川山と呼ばれた土地を1940年頃に購入し住宅地分譲しているらしい。
さらに山下亀三郎氏が創業した山下汽船も1918年に徳川家から大山の土地26万4千坪を購入し、住宅地分譲した。
大山園も何度も変遷した
図3は1936年の箱根土地による第2次分譲計画図である。土地の東半分が分譲されているので、西半分は第1次分譲なのだろう。真ん中下の大きな区画が大山園の中心であり、山下亀三郎氏の息子の山下太郎氏の所有で、山下公園と呼ばれていたらしいが、戦後レバノン人の貿易商デビス氏に売却され「デビス邸」と呼ばれた。
しかしデビス氏は70歳となって癌にかかり、土地を88年に土地を売却。買ったのは安田信託銀行の子会社である株式会社ワイ・ティ・ビー・エステイトであり、売却額は430億円。安田信託銀行は迎賓館を建設する予定だったが、バブル崩壊で頓挫。
96年に渋谷区が80億円で買取り、特養老人ホームと看護専門学校を建設するはずだったが、折角の緑地を破壊する開発に反対意見が出て、結局計画は進まなかった。結局2000年に渋谷区は計画を諦め、競売にかけたところ柳井氏が落札したのである。







