戦前の住宅分譲地の新聞広告からみる
軍事組織・住宅営団とその影響
私は2022年8月18日に『昭和の東京 住宅開発秘史』という本を上梓した。これは1959年ごろに制作された住宅向け分譲地の新聞折込チラシを私が入手し、そのチラシの分譲地を十数ケ所訪ね歩き、当時の状況を文献調査したものである。
調査の過程で新聞記事のデータベースを活用したが、戦前(1930〜44年)についても新聞広告を見ると、住宅分譲の広告がたくさんあることを知った。『秘史』では1959年ごろに分譲された住宅地を扱ったのだが、新聞広告を使えば戦前に分譲された住宅地についても調べ歩くことができるわけだ。
また『秘史』では戦前に住宅営団という国の組織がつくった住宅地についても紹介している。
住宅営団というのは、関東大震災後に日本の住宅の近代化を目指して設立された同潤会の活動を引き継ぐ形で1941年に設立された団体であり、激化する戦争に対応して軍需工場で働く労働者などを主な住民とすることを想定して全国に住宅地を建設した。
そのため住宅営団住宅地がつくられた地域は、その地域の中では早く水道・電気などのインフラが整備されたものと思われ、新聞広告に出ている民間開発による住宅地も住宅営団住宅地と近い場所につくられることが多かったのではないかと推測される。
そこで今回、戦前の住宅分譲地の新聞広告を入手した船橋市、市川市、松戸市について、分譲地のあったらしい場所を訪ねたり、また『秘史』では時間の都合で取り上げなかった船橋の住宅営団住宅地についても探訪してみた。
松戸市ではここ1、2年間に1日平均2戸の新築家屋が出現
まず松戸の住宅分譲地である。池袋にあった五光都市開拓合資会社が分譲したもので、松戸駅の近くである。松戸駅の東側、現在イトーヨーカドーの場所のさらに東は台地になっているが、その台地の北側、台地の下である。
行ってみると岩瀬という地名であり、岩瀬の北側はまた少し土地が高くなっており、岩瀬は南北を台地に挟まれた低地のようであった。地主と思しき邸宅もあり、おそらくその地主が戦前に土地を不動産業者に売り、住宅地になったのであろう。
1940年の段階で岩瀬地区のどれくらいが開発分譲されたのかは調べていないが、東西に三本の道路が平行しゆるやかなカーブを描いており、それなりに計画的につくられた住宅地ではないかと思われた。
松戸町の人口は関東大震災後に急増している。震災前の1911年から20年には人口は横ばいで7,500人ほどであったが、1925年には9,655人、30年には10,600人、40年には24,446人と10年で2倍以上、45年には43,332人とたった5年でさらに急増している。岩瀬の住宅地の広告は40年11月15日であるから、まさに松戸の人口が急増していた時代の物件であるといえる。
1938年の読売新聞でも「松戸市ではここ1、2年間に1日平均2戸の新築家屋が出現し、今までドブ田となっていた松戸駅東側一帯はほとんど東京方面の勤め人の住宅化されてしまい、なお続々移住者がある」が「住宅地の不足を来しているので、町当局では地主側に向かって住宅組合の設立を慫慂(しょうよう)し」ていると書かれている(慫慂は推奨、勧告といった意味)。
実はこの岩瀬の近くに住宅営団住宅地がつくられる予定であった。岩瀬の北側の台地のさらに北側にある南花島という地区であり、花島耕地水田の1万5千坪がそれである。ここに500戸の住宅が建設される予定であった。
また江戸川近くの矢切耕地3万坪にも住宅営団住宅510戸が建設される予定だったという。
ところが戦局が悪化し食糧不足が進むと、花島の水田をつぶして住宅地を建設するのは問題であるという意見が出てきた。矢切のほうも、最寄り駅まで徒歩30分かかり、これも住宅地に適さないということで計画は実現されなかった。
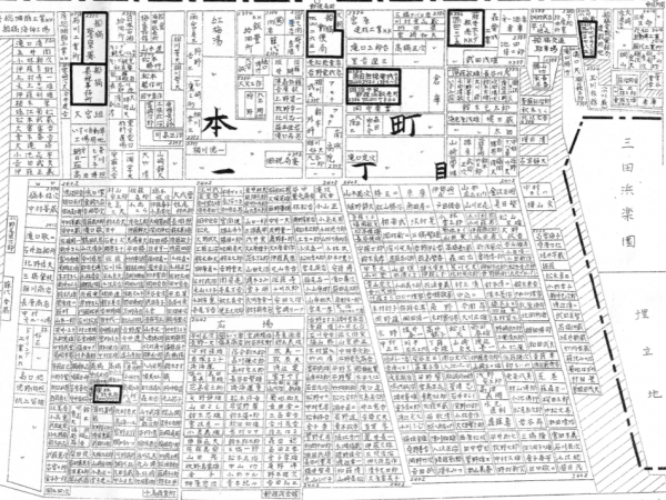
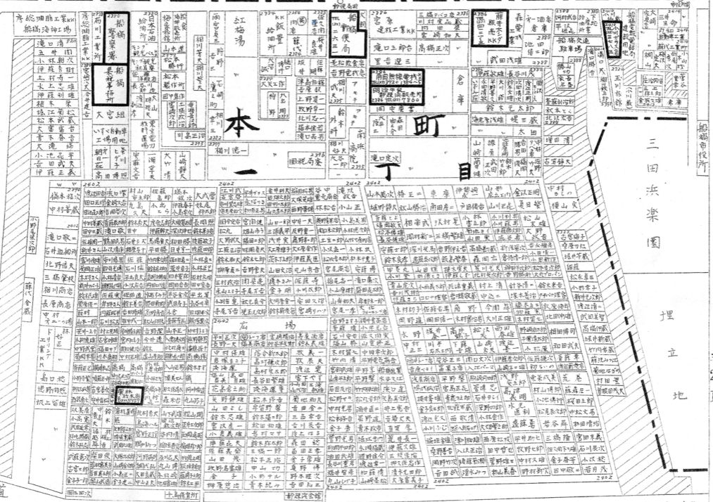
宿場町船橋の住宅地化
次に船橋である。
宿場町として栄えた船橋には多くの旅籠が並び、江戸時代末の天保2年(1831) には、現在の本町通り沿いに29軒を数えた。1894年には総武鉄道 (現:JR)が本所(現:錦糸町)から 佐倉まで開通して船橋駅が開業、1916年には京成電気軌道 (現:京成電鉄)が開通したことにより、船橋市の人口が増加した。1911年には1万3,995人、20年には1万4,677人だったが、震災後の25年に1万9,262人、30年に2万2,612人と、松戸市と同様、関東大震災後に人口が増加したのである。
新聞広告を見ると、戦前の船橋駅北口には桃山分譲地という住宅地が分譲されている。広告の地図はかなり適当であるが、駅から徒歩2分弱と書かれておりほぼ駅前である。今はそこには住宅地らしいものはなく、オフィスビルか東武百貨店になっているかもしれない。戦前はこんな駅前も新興住宅地だったのだ。
三田浜楽園と玉川旅館
また船橋は鉄道の開通により東京近郊の観光地・保養地としての人気が高まった。
船橋の沿岸部には海老川の河口などに塩田が広がっており、その一つに三田浜塩田があったが、ここが温泉、旅館などの行楽地となっていった。
三田浜塩田は子爵仁礼景範によって現在の船橋市湊町2・3丁目付近に開かれたが、仁礼が東京都港区三田に住居を構えていたことから「三田浜塩田」と呼ばれたのである。
この三田浜に大正、昭和に三田浜楽園などの旅館、料亭、割烹がたくさんできた。三田浜塩田2代目の経営者が玉川旅館の創業者の父、小川紋蔵である。彼は1927年には温泉に入れる旅館業を営んでおり、当時の広告には「海水浴ラヂユーム温泉 御旅館 御料理 玉川」と記されていた。
玉川旅館は国の登録有形文化財となるなど、船橋市のランドマークとして親しまれてきた。だがコロナ禍で宴会や宿泊者が減り、屋根瓦等の修繕や暖房費等に大きな費用が掛かり、後継者もいないことから、惜しまれつつ創業100年を機に2020年4月廃業した。
東京都から疎開してきた浜の住宅地「都疎浜」
そして太平洋戦争中には船橋に軍需工場が多数進出し、東京からの疎開者と合わせて急激に人口が増加したことなどから、三田浜の西側に住宅営団住宅地が造られた。
行ってみると営団住宅の原形をとどめたものはないと思われたが、原型に増改築をしたと思われるものはあった、電柱を見ると「都疎浜」と書いてある。東京都から疎開してきた浜の住宅地という意味だという。
また同潤会から営団住宅地までの共通の特徴である公園や商店街も整備されていた。とはいえ商店はほぼ廃業しているようであった。銭湯は歩いて数分の所にあり、労働者たちはそこに入浴に行ったのであろう。
公開日:










