金町駅北口西側エリアでは再開発第Ⅰ期エリアがもうすぐ完成
近年、JR金町駅(かなまちえき)北口西側エリアでは、急速に市街地のリニューアルが進んでいるのをご存知だろうか。金町駅というと、葛飾柴又に代表されるような下町情緒、1968年にUR都市機構の前身である旧日本住宅公団が整備した住戸数約1,400戸に及ぶ金町駅前団地といった、昭和の面影を色濃く残す街という印象を持つ方が多いかもしれない。
そのような中、近年になって、駅周辺の姿が大きく変化してきている。駅南口では、2009年には、商業施設や区立中央図書館、分譲マンションなどが一体となった「金町六丁目地区市街地再開発事業(ヴィナシス金町)」、2021年には、商業施設や公共施設(カナマチぷらっと)、分譲マンションが一体となった「金町駅前地区市街地再開発事業(ベルトーレ金町)」が開業している。
また、2003年に閉鎖した三菱製紙中川工場跡地では、周囲を含む一体的な再開発が行われ、「東京理科大学葛飾キャンパス」や、約7haに及ぶ「葛飾にいじゅくみらい公園」、さらには、住友不動産株式会社による総戸数610戸の「シティテラス金町」、総戸数840戸の「シティタワー金町」などが整備されている。
下町だと思い散策すると、洗練された都市空間が形成されていることに驚く。
今回、市街地再開発が行われているエリアは、この東京理科大学葛飾キャンパスと金町駅の中間に位置するエリアにあたる。理科大生や大規模マンションに居住する人たちが駅を利用する際の動線に面するため、再開発に期待を寄せている人たちが多いのではないだろうか。
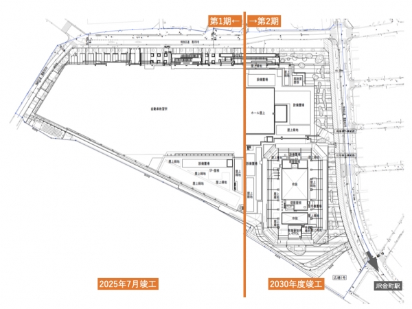
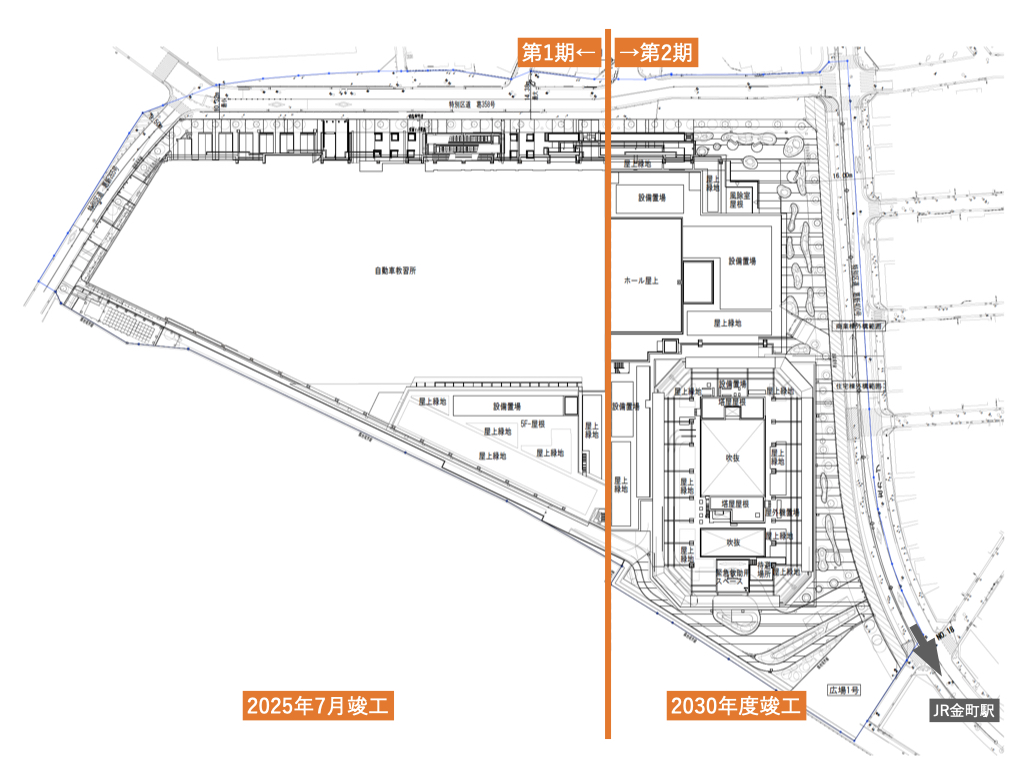
そのような期待に応えるかたちで、第Ⅰ期工事が2025年7月に竣工し、同年8月にオープンする予定となっている。
そこで、本稿では、金町駅北口西側エリアで進行中の再開発プロジェクトについて、その概要や特徴、Ⅱ期工事の完成時期などを解説する。また、どのように街が変化するのかも推察していきたい。
市街地再開発事業の背景
東京理科大学葛飾キャンパスや住友不動産による大規模マンションから駅に向かう動線は、市街地再開発に面する理科大学通りがあるが、現状、歩道幅が狭く、学生をはじめ多くの人が利用するにはすでに設計上の許容人数を超えていると言ってよい。
実際、現地を確認してみたが、幅2.25mの歩道に人が溢れており、明らかに安全性に課題を抱えている。
また、葛飾区が策定した土地利用のあり方を示す「葛飾区都市計画マスタープラン」を上位計画とする「金町駅周辺地区まちづくりプラン(2021年6月)」では、駅北口の魅力向上を目指すことを掲げており、充実した商業環境を整えることや、市街地の防災性の向上などを方針としている。このような課題を解決するため、市街地再開発が行われる。
市街地再開発の概要
市街地再開発の正式名称は「東金町一丁目西地区第一種市街地再開発事業」といい、施行地区の面積は約3ha。これまで、2014年に再開発協議会の設置、続いて、2016年には準備組合の設立、その後、2019年には再開発の実施に必要な都市計画が決定された。また、東京都からの事業計画認可は2021年、権利変換計画認可は2022年に受け、同年に建築工事に着手している。
再開発では、第Ⅰ期工事と第Ⅱ期工事に分けて段階的に進められる。段階的に工事が行われる理由として、再開発エリアの第Ⅱ期エリアにあたる旧イトーヨーカドー金町店の屋上で営業する金町自動車教習所を休止せずに移転することにある。第Ⅰ期工事では、自動車教習所や店舗が先行してオープンする。そして、その後に第Ⅱ期工事エリアの解体工事に着手する計画となっている。
総事業費は、約753億円を予定しており、このうち、補助金は約247億円、保留床処分金(土地の高度利用によって生み出される新たな床を、新しい居住者等へ売却することで得られる資金)は約491億円を見込んでいる。
再開発での施設計画としては、前項で述べた理科大学通りの歩行者通行の課題に対し、現道路幅員11mが16mまで拡幅される。さらに、歩道状空地として幅約4mの空地が新たに確保される計画となっている。
また、約640m2と約200m2の広場がそれぞれ配置される計画となっている。これらの整備により、歩行者の安全性が確保されるとともに、憩いの広場が設けられることになり、駅西側の若干、窮屈に感じられる市街地環境が大幅に改善される。
次に、計画建物の概要を見ていきたい。事業計画書によると、計画される建物の概要は以下のとおりとなっている。
<計画建物の概要>
・建築敷地面積:約24,755m2
・建築面積:約18,800m2
・延べ面積:約159,310m2
・階数:地下1階、地上40階
・建蔽率:約 76%
・容積率:約425%
・用 途:住宅、自動車教習所、店舗、公益施設等
・構 造:鉄骨造、鉄筋コンクリート造
・高 さ:約150m(高層部)、約30m(低層部)
・付帯施設:
駐車台数:約630台(住宅用:約290台、施設用:約340台)
駐輪台数:約 4,450台(住宅用:約1,800台、施設用:約1,250台、公共駐輪場:約1,400台)
再開発ビルでは、地上1〜40階は分譲住宅(1〜5階は一部が住宅)、総戸数は約900戸が計画されている。現時点における、事業計画書によると、1LDK〜4LDK、戸当たりの床面積平均は約67m2が計画されている。
分譲住宅部分である高層棟については、2026年度に建築工事に着手、その後、2030年度に竣工が予定されている。このため、今後の経済情勢次第では、計画変更となる可能性があるため、今後の動向に関心がある方は、再開発組合の事業計画書や、事業協力者に選定されている三菱地所レジデンス株式会社や三井不動産レジデンシャル株式会社の公式サイトをチェックしてみてほしい。
第Ⅰ期工事で完了する施設・入居テナント
第Ⅰ期計画では、低層部のうち、自動車教習所や店舗、公共駐輪場などが整備される。以下は、第Ⅰ期工事の概要である。
<第Ⅰ期工事で完成する施設の概要>
・構造:鉄骨造
・階数:地下1階、地上5階、最高高さ約30m
・用途:店舗(約25,590m2)、自動車教習所(約2,200m2)、公共駐輪場(約1,500台)、施設駐車場(約10,870m2)
商業施設に入るテナントについては、再開発組合が2024年12月に都に提出した大規模小売店舗立地法に基づく変更届出(店舗面積1,000㎡超の出店において必須の手続き)によると、店舗名は「(仮)東金町一丁目西地区市街地再開発ビル」、店舗面積は19,311m2とされている。
当該変更届出では、営業時間なども示されたが、具体的なテナント名は示されていない。なお、この届出に対する縦覧期間は2025年5月8日までとされているため、遅くても7月頃にはテナントが公表されると考えられる。なお、商業計画検討のパートナーには三菱地所株式会社が選定されているため、同社に関連した商業施設である可能性が高い。
スケジュール
第Ⅰ期エリア(低層棟)については、2025年7月に竣工し、同年8月にオープンする。続いて、第Ⅱ期エリア(低層棟・高層棟)については、第Ⅰ期工事完了後に解体工事に着手し、2026年度に建築着工、2030年度に竣工を予定している。
再開発によって金町駅はどう変わる?
駅北口西側エリアは市街地再開発以前から大きく変化してきた。その理由には、冒頭で述べた、「東京理科大学葛飾キャンパス」の誘致や「葛飾にいじゅくみらい公園」の整備、また、大規模な民間分譲マンションの整備(シティタワー金町、シティテラス金町、プラウドシティ金町)にある。
駅北口西側エリアと、駅北口に広がる旧市街地や旧日本住宅公団が整備した金町駅前団地とは全く性質の異なる市街地が形成されていると言える。
そして、今回、新しい市街地と駅とを繋ぐ中間エリアに市街地再開発が実施され、より駅側に向かって新しい街並みが誕生することになる。
金町の昔ながらの風情に親しみを感じていた方にとっては、少し寂しさを感じるかもしれないが、一方で、今回の再開発により、下町らしさのみならず、多面的な魅力を持つ街へと進化していくのかもしれない。
学生が多く居住するようになり、若い力が入ってきたことで、街もそれに応じて住宅需要が変化していくことが考えられる上に、若い世代が好む飲食店や物販店などサービス施設の増加が見込まれる。
駅に降り立てば、眼下に広がる景色は昭和の雰囲気が色濃く残る下町だが、一歩駅北口の西側エリアに足を踏み入れれば、そこには都心と何ら変わらない新しい市街地がある。こうした多面的な都市空間こそが、金町の新しい魅力となるのではないだろうか。
なお、金町駅周辺地区まちづくりプランにおいては、北口駅前広場の拡張整備や道路拡幅などを位置付けており、今後、より魅力的な駅周辺へ生まれ変わる可能性を有している。
おわりに
東京理科大学では、2025年4月に野田キャンパス(千葉県野田市)にあった薬学部・薬学研究科が葛飾キャンパスへ移転した。これに伴い約1,000名以上に及ぶ学生が葛飾キャンパスに籍を移している。これまで以上に学生が駅周辺を利用するようになると考えられる上に、これをビジネスチャンスと捉えて、今後も、駅周辺には学生マンションやアパート、飲食店なども増えていくと考えられる。
また、今回の市街地再開発が起点となり、駅北口側のリニューアルが進む可能性もあり、今後の動向にも注目したいエリアだ。下町と共存する市街地環境をどのようにデザインしていくのか、変化が楽しみなエリアといえるのではないだろうか。
今後も、駅周辺の新たな動きを追いながら、街の変化を伝えていきたい。ぜひ、あなたも再開発が進む金町駅周辺の変化を実際に訪れて体感してみてはいかがだろうか。
公開日:
LIFULL HOME'Sで
住まいの情報を探す
金町駅賃貸物件を探す
金町駅中古マンションを探す
金町駅 新築一戸建て物件一覧
金町駅 投資物件一覧
売却査定を依頼する
【無料】住まいの窓口に相談




















