建築条件付き土地 【住友林業】フォレストリータウン小串
ウエスタまるき小松原通り店約890m~940m(徒歩12分)
ドラッグコスモス小松原店約970m~1,120m(徒歩13~14分)
トライアルスーパーセンター宇部店約1,770m~1,830m
桃山保育園約340m~400m(徒歩 5分)
鵜ノ島小学校約680m~740m(徒歩 約9~10分)
JR宇部線「宇部新川」駅徒歩17~18分,宇部市交通局「黄幡公園前」バス停徒歩10~11分
0037-618-89362
無料
魅力1 学校やお買い物施設など周辺環境が充実!子育て世帯にも嬉しい立地です♪
【保育園・幼稚園・小学校・中学校】
桃山保育園約340m~400m(徒歩 5分)
小松原幼稚園約470m~530m(徒歩 約6~7分)
鵜ノ島小学校約680m~740m(徒歩 約9~10分)
新川小学校約940m~1,000m(徒歩 約12~13分)
桃山中学校約840m~900m(徒歩 約11~12分)
【商業施設】
ウエスタまるき小松原通り店約890m~940m(徒歩12分)
ドラッグコスモス小松原店約970m~1,120m(徒歩13~14分)
トライアルスーパーセンター宇部店約1,770m~1,830m
魅力2 ◇◆本物が醸し出す心地よさ~住友林業の「My Forest BF」~◆◇
魅力3 ◇◆安心して暮らせる性能~住友林業独自のBF構法~◆◇
0037-618-89362
無料
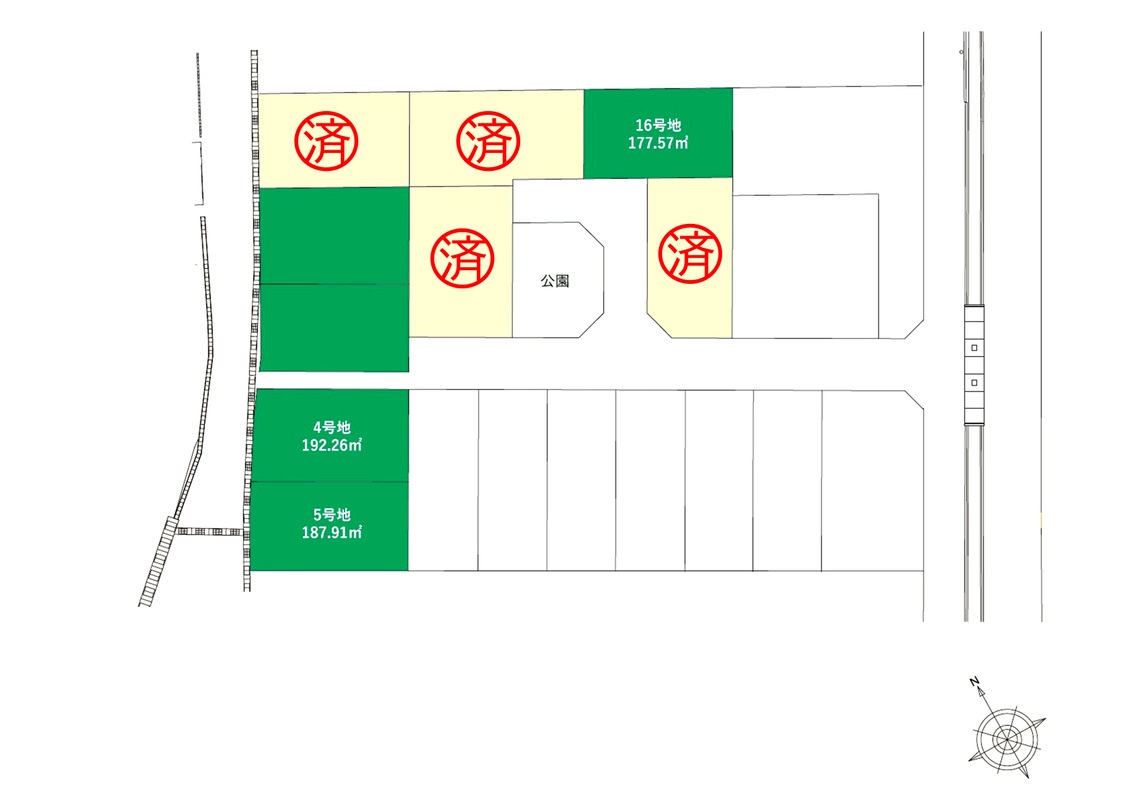
区画図
0037-618-89362
無料
設備・仕様
設備・仕様のこだわりポイント
- その他設備
-
- 都市ガス
0037-618-89362
無料
外観・分譲地
外観・分譲地のこだわりポイント
- 角地
- 南道路
- 整形地
- 平坦地
0037-618-89362
無料
周辺環境・地図
周辺情報
※半径4kmを超えると、周辺情報のアイコンは表示されません。
- ※不動産会社が入力した情報を基に物件の位置を表示しています。
- ※詳しくは不動産会社までお問合せください。
- ※地図上に表示される各種アイコンなどの情報は、おおよその所在地を表すものであり、物件・施設などの地点を保証するものではありません。
- ※地図の表示領域が広域になると周辺のお店・施設は表示できなくなります。
- ※地図、航空写真情報および地形ならびに周辺のお店・施設は、必ずしも現況を表すものではありません。
- ※物件から周辺のお店・施設までの距離は、利用が想定される道路を通行した場合の距離です。なお、必ずしも最短距離を保証するものではありません。
周辺環境のこだわりポイント
- 小学校 800m以内
0037-618-89362
無料
物件概要
| 所在地 | 山口県宇部市西桃山一丁目775番18外 | ||
|---|---|---|---|
| 交通 |
JR宇部線「宇部新川」駅 徒歩17分~18分 黄幡公園前 徒歩10分~11分 |
||
| 販売価格 | 1179万円~1307万円 | 最多価格帯 | - |
| 建物面積 | - | 土地面積 | 173.17.m2~192.45m2 |
| 開発面積 | - | 建ぺい率・容積率 | 建ぺい率60%、容積率200% |
| 建築条件 | 建築条件付 建築条件付き土地とは一定期間内に、その土地に建築する建物の請負契約が締結されることを条件に販売される土地のことです。 土地売買契約締結後、建築請負会社と購入した土地に建築する建物について協議することになります。広告に参考プランが掲載されている場合でも、プランは一例であり、実際の建築プランは建築請負会社と土地購入者で協議・検討することが可能です。 期間内に建築プランが決まらず建築請負契約が成立しなければ土地売買契約は白紙となり、支払済みの金銭はすべて返還されます。 建築請負会社が指定されている場合と指定されていない場合があります。 また、建築条件付き土地の価格には、建物価格は含まれません。 |
||
| 販売スケジュール | 先着受付中 | ||
| 販売区画数 / 総区画数 | 5区画 / 9区画 | ||
| 造成完了予定日 | 完成済み | 引き渡し可能年月 | 相談 |
| 駐車場 | - | 道路の幅員 | 5.0~6.0m、6.0~7.4m |
| 用途地域 | 第一種中高層住居専用地域 | 都市計画 | - |
| 地目 | 宅地 | 国土法 | - |
| 土地の権利 | 所有権 | 借地権の種類・期間 | - |
| 主たる設備の概要 | 上下水道・都市ガス・中国電力 | 開発許可番号 | 完成済みのため省略 |
| 施工会社 | - | 機構融資 | - |
| 売主 | 住友林業株式会社 [国土交通大臣 (15) 第687号] | 取引態様 | 【売主】住友林業株式会社山口支店 |
| 備考 | - | ||
| 情報更新日 | 2026/05/16 | 次回更新予定日 | 2026/05/30 |
| 取引条件有効期限 | 2026/06/30 | ||
販売概要・権利のこだわりポイント
- 建築条件付き
- 所有権
- 仲介手数料不要
- 売主・代理
- 自由設計対応
0037-618-89362
無料
取扱い不動産会社
住友林業株式会社 山口支店の会社情報
お電話でのお問合せは「LIFULL HOME'S(ライフルホームズ)を見て」とお伝えください
住友林業株式会社山口支店
0037-618-89362
無料
- ※携帯電話はご利用いただけます
- ※光IP電話、及びIP電話をご利用のお客様はTEL:0120-728-370へご連絡ください
- ※携帯電話からお問合せいただいた方には、ショートメッセージ(SMS)またはLINE通知メッセージによるお問合せ内容に関する通知をお届けする場合があり、お客様の電話番号は株式会社LIFULLで一定期間保管されます
- ※株式会社LIFULLの個人情報の取扱い方針に同意のうえ、お電話ください
| 会社名 |
住友林業株式会社 山口支店 |
|---|---|
| 免許番号 | 国土交通大臣 (14) 第 687 号 |
| 所在地 | 山口県山口市小郡前田町1-1 |
| 所属団体 |
(公社)首都圏不動産公正取引協議会 |
この物件にお問合せする
実際に物件・周辺環境を見て検討したい!
近隣建物や接道の状況など資料で分からない部分も一目瞭然。 まずはWEBで事前予約、スムーズに見学しましょう
ご予約無しに直接ご来場された場合、担当者不在であったり、
他のお客様のご案内の都合上、お待たせしてしまうことがございます。
不動産会社に電話で相談したい!
住友林業株式会社山口支店
0037-618-89362
無料
電話でのお問合せは「LIFULL HOME'S(ライフルホームズ)を見て」とお伝えください
- ※携帯電話はご利用いただけます
- ※光IP電話、及びIP電話をご利用のお客様はTEL:0120-728-370へご連絡ください
- ※携帯電話からお問合せいただいた方には、ショートメッセージ(SMS)またはLINE通知メッセージによるお問合せ内容に関する通知をお届けする場合があり、お客様の電話番号は株式会社LIFULLで一定期間保管されます
- ※株式会社LIFULLの個人情報の取扱い方針に同意のうえ、お電話ください
LIFULL HOME'Sは物件鮮度No.1を目指していきます 物件情報に誤りがある場合はコチラからご連絡ください
- 【物件番号】
- 1705192-0000010
- ※完成後1年未満で未入居の物件を「新築」と表示しております。
- ※完成予想図やCG合成画像は、門塀・植栽・庭・外観等、実際とは多少異なる場合があります。
物件を再検索する
