一戸建て 西東京市中町1丁目 新築分譲住宅 全12棟
- 価格
- 4990万円~6290万円
- 所在地
- 東京都西東京市中町1
- 交通
- 西武池袋線「保谷」駅 徒歩19分西武池袋線「保谷」駅 バス6分「中町1丁目」バス停 徒歩2分JR中央線「三鷹」駅 バス20分「中町1丁目」バス停 徒歩2分
乗り換え案内
- 土地面積
- 110.00m2~114.01m2
- 建物面積
- 90.25m2~98.74m2
- 間取り
- 3LDK・4LDK
\\10万円相当のオプションプレゼント//西武池袋線「保谷」駅徒歩19分!バス便で6分、バス停より停歩2分の立地です!JR中央線「三鷹」駅もバス便にてご利用いただけます!ZEH水準の省エネ住宅です!
16帖以上のLDKに居室が3~4部屋!号棟にもよりますが駐車2台可能です!住宅性能評価取得物件!耐震性などに優れた確かな品質の住まいです!伏見通りに近く、お車での移動もスムーズです!
小・中学校まで徒歩約9分でお子様が無理なく通える距離です。保育園や幼稚園も近くに多数あり、子育てファミリーには嬉しい環境です!都立東伏見公園まで徒歩約18分など周辺は公園が点在する緑豊かな住環境です。
0037-618-41495
無料
魅力1 【10万円相当のオプションプレゼントキャンペーン対象物件】
☆弊社でご成約された方全員に10万円相当のオプションプレゼント!☆
(3つのコースからご選択可能です)
■1 エアコンプレゼント♪
■2 網戸又はカーテンレール取付サービス♪
■3 その他、お好きなオプションをフリーチョイス可能です♪
※諸条件あり、詳しくは直接お問い合わせください。
魅力2 ■「あったらいいな」の設備が標準装備■
■□住設あんしんサポート □■
・最長10年間何度でも利用可能
・新品交換含め無料修理!
・窓口一本化でスムーズに!
※サポート加入条件については当社規定があります。
魅力3 ■充実した周辺環境■
■ご案内方法■
お客様の専属担当がご自宅までの送迎や最寄駅までの送迎も行います。
又、弊社までご来店して頂きご案内も可能です。
お客様無料駐車場もご用意しておりますのでお気軽にお車でもご来店下さい。
0037-618-41495
無料
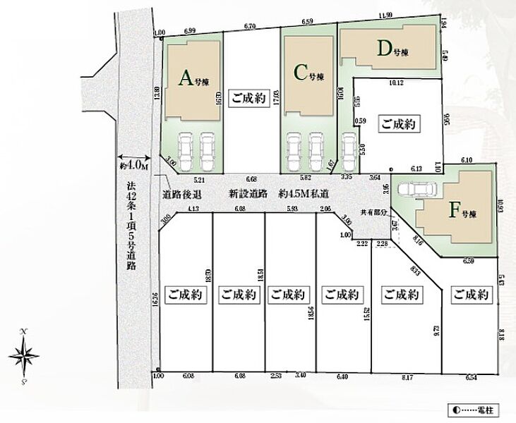
間取り図
-
A号棟 間取り 4LDK+WIC 価格 6290万円 建物面積 98.74m2 土地面積 114.01m2 -
C号棟 間取り 4LDK+パントリー 価格 6090万円 建物面積 98.53m2 土地面積 113.19m2 -
D号棟 間取り 3LDK 価格 4990万円 建物面積 90.25m2 土地面積 110.03m2 -
F号棟(ご成約済み) 間取り 4LDK 価格 未定 建物面積 95.63m2 土地面積 110.00m2 -
A号棟 間取り 4LDK+WIC 価格 6290万円 建物面積 98.74m2 土地面積 114.01m2 -
C号棟 間取り 4LDK+パントリー 価格 6090万円 建物面積 98.53m2 土地面積 113.19m2 -
D号棟 間取り 3LDK 価格 4990万円 建物面積 90.25m2 土地面積 110.03m2 -
F号棟(ご成約済み) 間取り 4LDK 価格 未定 建物面積 95.63m2 土地面積 110.00m2 -
A号棟 間取り 4LDK+WIC 価格 6290万円 建物面積 98.74m2 土地面積 114.01m2
0037-618-41495
無料
内観・室内
間取り・内観のこだわりポイント
- LDK15帖以上
- 4LDK以上
- ワイドバルコニー
- 南面バルコニー
- 全室2面採光
0037-618-41495
無料
設備・仕様
設備・仕様のこだわりポイント
- キッチン
-
- カウンターキッチン
- 食器洗い乾燥機
- 浄水器・活水器
- ガスコンロ
- 収納
-
- 床下収納
- ウォークインクローゼット
- パントリー
- 全居室収納
- その他設備
-
- 都市ガス
- シャワー付洗面化粧台
- 温水洗浄便座
- 浴室乾燥機
- 浴室暖房
- トイレ2ヶ所以上
- 複層ガラス採用(二重サッシ・防犯サッシ等)
- TVモニタ付インターホン
省エネ性能
- エネルギー消費性能:★★★★★★(削減率50%達成)
- 断熱性能:5段階/7段階 ※「省エネ性能ラベル」は特定の住戸の性能を示し、全ての住戸の性能を示していない場合があります。
0037-618-41495
無料
外観・分譲地
外観・分譲地のこだわりポイント
- 駐車場あり
- 低層住宅地
- 総戸数・総区画数が10以上〜30未満
- 地盤調査済
- 角地
- 南道路
- 敷地延長・変形地
- 整形地
- 平坦地
0037-618-41495
無料
周辺環境・地図
周辺環境のこだわりポイント
- スーパー 800m以内
- 小学校 800m以内
- 中学校 800m以内
- 保育園・幼稚園 400m以内
- 複数路線
0037-618-41495
無料
物件概要
| 所在地 | 東京都西東京市中町1 | ||
|---|---|---|---|
| 交通 |
西武池袋線「保谷」駅 徒歩19分 西武池袋線「保谷」駅 バス6分「中町1丁目」バス停 徒歩2分 JR中央線「三鷹」駅 バス20分「中町1丁目」バス停 徒歩2分 |
||
| 販売価格 | 4990万円~6290万円 | 最多価格帯 | - |
| 建物面積 | 90.25m2~98.74m2 | 土地面積 | 110.00m2~114.01m2 |
| 間取り | 3LDK・4LDK | 建物構造 | 木造2階建 |
| 販売スケジュール | 販売中 | ||
| 販売戸数 / 総戸数 | 3戸 / 12戸 | ||
| 完成予定日 | 完成済み | 引き渡し可能年月 | 即引渡可 |
| 駐車場 | 1台 ~ 2台 | 道路の幅員 | 西側5.0m私道 |
| 用途地域 | 第一種低層住居専用地域 | 都市計画 | 市街化区域 |
| 地目 | 畑・雑種地 | 国土法 | 届出不要 |
| 土地の権利 | 所有権 | 借地権の種類・期間 | - |
| 主たる設備の概要 | 東京電力・都市ガス・公営水道・本下水 | 建築確認番号 | 第HPA-25-14696-1号他 |
| 施工会社 | - | 機構融資 | フラット35S利用可 |
| 売主 | 取引態様 | Saikyo Estate株式会社/仲介 | |
| イベント情報 |
|
||
| 備考 | ・住宅ローン相談随時受付中。 住宅購入に関わる全てのご不安解消します。・気になる物件をお気軽にご覧ください。 ご自宅まで送迎させて頂きます。・お子様とご一緒でも安心。 たのしい、たのしいキッズスペースを用意しております。・その他にも、特典多数用意しております。 詳細に付きましては、お電話下さい。 | ||
| 情報更新日 | 2026/05/16 | 次回更新予定日 | 2026/05/30 |
| 取引条件有効期限 | 2026/12/31 | ||
住宅性能・販売概要・権利のこだわりポイント
- 所有権
- 瑕疵担保付き
- 耐震・制震・免震構造
- 設計住宅性能評価書
- フラット35・S適合証明書
- 建設住宅性能評価書(新築時)
- 即入居可
0037-618-41495
無料
現地・イベント情報
\\10万円相当のオプションプレゼント//3つのコースからご選択いただきお引渡し後にプレゼント♪
| 開催日時 |
2025年12月01日〜2026年12月31日
|
|---|---|
| 開催場所 | 東京都三鷹市野崎1-8-16シンフォニー三鷹1階 |
| 交通 |
JR中央線「三鷹」駅 バス10分 徒歩1分 |
☆弊社でご成約された方全員に10万円相当のオプションプレゼント!☆ (3つのコースからご選択可能です) ■1 エアコンプレゼント♪ ■2 網戸又はカーテンレール取付サービス♪ ■3 その他、お好きなオプションをフリーチョイス可能です♪ ※諸条件あり、詳しくは直接お問い合わせください。
取扱い不動産会社
スタッフからのコメント
- いつでもご案内可能です! お気軽にお問い合わせください。
- マイホームの購入は一生に一度の大きなお買い物。「期待」も大きい反面「不安」も同じくらい大きくなってしまうと思います。その「不安」は私が取り除きます。どんな事でもご相談ください。誠心誠意ご対応致します。
米山 朋之
Saikyo Estate株式会社 の会社情報
お電話でのお問合せは「LIFULL HOME'S(ライフルホームズ)を見て」とお伝えください
Saikyo Estate株式会社 〒181-0014東京都三鷹市野崎1-8-16 シンフォニー三鷹
0037-618-41495
無料
- ※携帯電話はご利用いただけます
- ※光IP電話、及びIP電話をご利用のお客様はTEL:0422-26-5511へご連絡ください
- ※携帯電話からお問合せいただいた方には、ショートメッセージ(SMS)またはLINE通知メッセージによるお問合せ内容に関する通知をお届けする場合があり、お客様の電話番号は株式会社LIFULLで一定期間保管されます
- ※株式会社LIFULLの個人情報の取扱い方針に同意のうえ、お電話ください
| 会社名 |
Saikyo Estate株式会社 |
|---|---|
| 免許番号 | 東京都知事 (2) 第 104660 号 |
| 所在地 | 東京都三鷹市野崎1-8-16 シンフォニー三鷹1F |
| 所属団体 |
(公社)全日本不動産協会東京都本部 |
この物件にお問合せする
実際に物件・周辺環境を見て検討したい!
近隣建物や接道の状況など資料で分からない部分も一目瞭然。 まずはWEBで事前予約、スムーズに見学しましょう
ご予約無しに直接ご来場された場合、担当者不在であったり、
他のお客様のご案内の都合上、お待たせしてしまうことがございます。
不動産会社に電話で相談したい!
Saikyo Estate株式会社 〒181-0014東京都三鷹市野崎1-8-16 シンフォニー三鷹
0037-618-41495
無料
電話でのお問合せは「LIFULL HOME'S(ライフルホームズ)を見て」とお伝えください
- ※携帯電話はご利用いただけます
- ※光IP電話、及びIP電話をご利用のお客様はTEL:0422-26-5511へご連絡ください
- ※携帯電話からお問合せいただいた方には、ショートメッセージ(SMS)またはLINE通知メッセージによるお問合せ内容に関する通知をお届けする場合があり、お客様の電話番号は株式会社LIFULLで一定期間保管されます
- ※株式会社LIFULLの個人情報の取扱い方針に同意のうえ、お電話ください
LIFULL HOME'Sは物件鮮度No.1を目指していきます 物件情報に誤りがある場合はコチラからご連絡ください
- 【物件番号】
- 1705942-0003104
- ※完成後1年未満で未入居の物件を「新築」と表示しております。
- ※完成予想図やCG合成画像は、門塀・植栽・庭・外観等、実際とは多少異なる場合があります。














