建築条件付き土地 北今市7丁目 全3区画
全区画50坪以上の3区画です。二上駅から徒歩約16分です。駅からの道路は歩道付きが多いのも安心ポイントですね。2026年から下田小学校か旭ヶ丘小学校を選択することができるようになりました。
建物は耐震等級3、エアコン1台で全館空調のお家です。GX補助金対象の仕様で、気密性能(隙間が少ない)は直近で0.1と全国でもトップクラスの性能です。価格は間取りや仕様によって変わりますのでご相談下さい
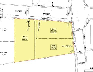
宅地Aは成約、宅地Cは商談中です。
0037-618-89522
無料
区画図
0037-618-89522
無料
内観・室内
0037-618-89522
無料
外観・分譲地
外観・分譲地のこだわりポイント
- 駐車場あり
- 前面道路6m以上
- 平坦地
0037-618-89522
無料
周辺環境・地図
周辺情報
※半径4kmを超えると、周辺情報のアイコンは表示されません。
- ※不動産会社が入力した情報を基に物件の位置を表示しています。
- ※詳しくは不動産会社までお問合せください。
- ※地図上に表示される各種アイコンなどの情報は、おおよその所在地を表すものであり、物件・施設などの地点を保証するものではありません。
- ※地図の表示領域が広域になると周辺のお店・施設は表示できなくなります。
- ※地図、航空写真情報および地形ならびに周辺のお店・施設は、必ずしも現況を表すものではありません。
- ※物件から周辺のお店・施設までの距離は、利用が想定される道路を通行した場合の距離です。なお、必ずしも最短距離を保証するものではありません。
周辺環境のこだわりポイント
- コンビニ 400m以内
- 小学校 800m以内
0037-618-89522
無料
物件概要
| 所在地 | 奈良県香芝市北今市7丁目 | ||
|---|---|---|---|
| 交通 |
近鉄大阪線「二上」駅 徒歩16分 |
||
| 販売価格 | 2080万円~2580万円 | 最多価格帯 | - |
| 建物面積 | - | 土地面積 | 175.2m2~240.02m2 |
| 開発面積 | - | 建ぺい率・容積率 | 建ぺい率60% 容積率200% |
| 建築条件 | 建築条件付 建築条件付き土地とは一定期間内に、その土地に建築する建物の請負契約が締結されることを条件に販売される土地のことです。 土地売買契約締結後、建築請負会社と購入した土地に建築する建物について協議することになります。広告に参考プランが掲載されている場合でも、プランは一例であり、実際の建築プランは建築請負会社と土地購入者で協議・検討することが可能です。 期間内に建築プランが決まらず建築請負契約が成立しなければ土地売買契約は白紙となり、支払済みの金銭はすべて返還されます。 建築請負会社が指定されている場合と指定されていない場合があります。 また、建築条件付き土地の価格には、建物価格は含まれません。 |
||
| 販売スケジュール | 販売中 | ||
| 販売区画数 / 総区画数 | 2区画 / 3区画 | ||
| 造成完了予定日 | 5月下旬 | 引き渡し可能年月 | 相談 |
| 駐車場 | 2台 | 道路の幅員 | 6m |
| 用途地域 | 第一種住居地域 | 都市計画 | 市街化区域 |
| 地目 | 宅地 | 国土法 | - |
| 土地の権利 | 所有権 | 借地権の種類・期間 | - |
| 主たる設備の概要 | 電気、水道、公共下水 | 開発許可番号 | 30-57号 |
| 施工会社 | - | 機構融資 | - |
| 売主 | 取引態様 | 株式会社DAI-SEI/売主 | |
| 備考 | - | ||
| 情報更新日 | 2026/04/05 | 次回更新予定日 | 2026/04/19 |
| 取引条件有効期限 | 2026/04/30 | ||
販売概要・権利のこだわりポイント
- 建築条件付き
- 所有権
- 仲介手数料不要
- 売主・代理
- 自由設計対応
0037-618-89522
無料
取扱い不動産会社
株式会社DAI-SEIの会社情報
お電話でのお問合せは「LIFULL HOME'S(ライフルホームズ)を見て」とお伝えください
株式会社DAI-SEI
0037-618-89522
無料
- ※携帯電話はご利用いただけます
- ※光IP電話、及びIP電話をご利用のお客様はTEL:0745-51-0201へご連絡ください
- ※携帯電話からお問合せいただいた方には、ショートメッセージ(SMS)またはLINE通知メッセージによるお問合せ内容に関する通知をお届けする場合があり、お客様の電話番号は株式会社LIFULLで一定期間保管されます
- ※株式会社LIFULLの個人情報の取扱い方針に同意のうえ、お電話ください
| 会社名 |
株式会社DAI-SEI |
|---|---|
| 免許番号 | 奈良県知事 (1) 第 4334 号 |
| 所在地 | 奈良県香芝市高山台1‐17 |
| 所属団体 |
(公社)奈良県宅地建物取引業協会 |
この物件にお問合せする
実際に物件・周辺環境を見て検討したい!
近隣建物や接道の状況など資料で分からない部分も一目瞭然。 まずはWEBで事前予約、スムーズに見学しましょう
ご予約無しに直接ご来場された場合、担当者不在であったり、
他のお客様のご案内の都合上、お待たせしてしまうことがございます。
不動産会社に電話で相談したい!
株式会社DAI-SEI
0037-618-89522
無料
電話でのお問合せは「LIFULL HOME'S(ライフルホームズ)を見て」とお伝えください
- ※携帯電話はご利用いただけます
- ※光IP電話、及びIP電話をご利用のお客様はTEL:0745-51-0201へご連絡ください
- ※携帯電話からお問合せいただいた方には、ショートメッセージ(SMS)またはLINE通知メッセージによるお問合せ内容に関する通知をお届けする場合があり、お客様の電話番号は株式会社LIFULLで一定期間保管されます
- ※株式会社LIFULLの個人情報の取扱い方針に同意のうえ、お電話ください
LIFULL HOME'Sは物件鮮度No.1を目指していきます 物件情報に誤りがある場合はコチラからご連絡ください
- 【物件番号】
- 1707242-0000058
- ※完成後1年未満で未入居の物件を「新築」と表示しております。
- ※完成予想図やCG合成画像は、門塀・植栽・庭・外観等、実際とは多少異なる場合があります。
物件を再検索する
奈良県の人気エリアから土地を探す






