不動産・住宅情報サイトLIFULL HOME'S>土地>中国・四国>広島県>尾道市>東尾道駅>タマタウン尾道高須

建築条件付き土地 タマタウン尾道高須

タマタウン尾道高須 1号地
1,630万円 / 土地 153.39m2
タマタウン尾道高須 2号地
1,630万円 / 土地 153.29m2
参考プラン
駐車スペース2台分を確保したプランニングが可能です!

  • ※不動産会社が入力した情報を基に物件の位置を表示しています。
  • ※詳しくは不動産会社までお問合せください。

閉じる

尾道市高須町に建築条件付き土地が販売中です!!
【周辺環境が充実】
・ファミリーマート尾道高須店まで徒歩約3分
・ハローズ東尾道店まで徒歩約15分 
・高西保育所まで徒歩約10分
・高須小学校まで徒歩約18分
・高西中学校まで徒歩約12分
・川尻公園まで徒歩約7分
・加藤内科消化器科まで徒歩約5分    子育て世帯に嬉しい立地!!

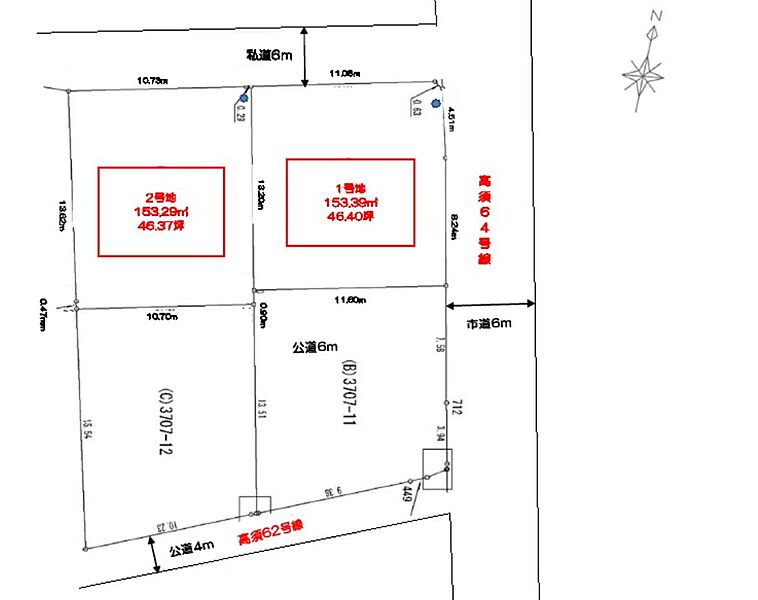
区画図

  • タマタウン尾道高須 1号地
    土地面積 153.39m2
    価格 1630万円

    間取り・区画情報

    タマタウン尾道高須

    タマタウン尾道高須 1号地 / 153.39m2 / 1630万円

    印刷する

    タマタウン尾道高須  1号地
    区画名 タマタウン尾道高須 1号地
    土地面積 153.39m2 価格 1630万円
    備考

    資料をもらう(無料)

    見学予約する(無料)

    電話でのお問合せ(通話無料)0037-618-03430

    閉じる

  • タマタウン尾道高須 2号地
    土地面積 153.29m2
    価格 1630万円

    間取り・区画情報

    タマタウン尾道高須

    タマタウン尾道高須 2号地 / 153.29m2 / 1630万円

    印刷する

    タマタウン尾道高須  2号地
    区画名 タマタウン尾道高須 2号地
    土地面積 153.29m2 価格 1630万円
    備考

    資料をもらう(無料)

    見学予約する(無料)

    電話でのお問合せ(通話無料)0037-618-03430

    閉じる

参考プラン

周辺環境・地図

周辺情報

※半径4kmを超えると、周辺情報のアイコンは表示されません。

  • ※不動産会社が入力した情報を基に物件の位置を表示しています。
  • ※詳しくは不動産会社までお問合せください。
  • ※地図上に表示される各種アイコンなどの情報は、おおよその所在地を表すものであり、物件・施設などの地点を保証するものではありません。
  • ※地図の表示領域が広域になると周辺のお店・施設は表示できなくなります。
  • ※地図、航空写真情報および地形ならびに周辺のお店・施設は、必ずしも現況を表すものではありません。
  • ※物件から周辺のお店・施設までの距離は、利用が想定される道路を通行した場合の距離です。なお、必ずしも最短距離を保証するものではありません。

周辺環境のこだわりポイント

  • コンビニ 400m以内

物件概要

不動産用語

所在地 広島県尾道市高須町字原田3707番8(地番)他
交通 JR山陽本線「東尾道」駅 徒歩15分~20分
販売価格 1,630万円 最多価格帯 -
建物面積 - 土地面積 153m2・153m2
開発面積 - 建ぺい率・容積率 建ぺい率60% 容積率200%
建築条件 建築条件付
販売スケジュール 販売中
販売区画数 / 総区画数 2区画 / 2区画
造成完了予定日 - 引き渡し可能年月 相談
駐車場 1台~3台(※プランによります) 道路の幅員 幅員約6.0m(私道負担あり:252m2、共有持分:6分の1)
用途地域 第一種住居地域 都市計画 市街化区域
地目 宅地 国土法 -
土地の権利 所有権 借地権の種類・期間 -
主たる設備の概要 公営水道、電気、合併浄化槽 開発許可番号 開発許可申請不要な土地のためなし
施工会社 - 機構融資 -
売主 タマホーム株式会社 [国土交通大臣許可(特-5)第19013号] 取引態様 タマホーム株式会社/売主
備考 -
情報更新日 2025/10/16 次回更新予定日 随時
取引条件有効期限 2026/12/31

販売概要・権利のこだわりポイント

  • 建築条件付き
  • 所有権
  • 仲介手数料不要
  • 売主・代理
  • 自由設計対応

取扱い不動産会社

タマホーム株式会社の会社情報

お電話でのお問合せは「LIFULL HOME'S(ライフルホームズ)を見て」とお伝えください

タマホーム株式会社 尾道営業所

0037-618-03430 無料

  • ※携帯電話はご利用いただけます
  • ※光IP電話、及びIP電話をご利用のお客様はTEL:0120-982-792へご連絡ください
  • ※携帯電話からお問合せいただいた方には、ショートメッセージ(SMS)またはLINE通知メッセージによるお問合せ内容に関する通知をお届けする場合があり、お客様の電話番号は株式会社LIFULLで一定期間保管されます
  • ※株式会社LIFULLの個人情報の取扱い方針に同意のうえ、お電話ください
会社名

タマホーム株式会社

免許番号 国土交通大臣 (5) 第 6857 号
所在地 東京都港区高輪3-22-9
所属団体

(公社)東京都宅地建物取引業協会

この物件にお問合せする

資料を取り寄せてじっくり検討したい!

物件に関する様々な資料がお手元に届きます。 WEBには載せきれない詳細な図面や事前情報が得られる機会も!

実際に物件・周辺環境を見て検討したい!

近隣建物接道の状況など資料で分からない部分も一目瞭然。 まずはWEBで事前予約、スムーズに見学しましょう

ご予約無しに直接ご来場された場合、担当者不在であったり、
他のお客様のご案内の都合上、お待たせしてしまうことがございます。

不動産会社に電話で相談したい!

タマホーム株式会社 尾道営業所

0037-618-03430 無料

電話でのお問合せは「LIFULL HOME'S(ライフルホームズ)を見て」とお伝えください

  • ※携帯電話はご利用いただけます
  • ※光IP電話、及びIP電話をご利用のお客様はTEL:0120-982-792へご連絡ください
  • ※携帯電話からお問合せいただいた方には、ショートメッセージ(SMS)またはLINE通知メッセージによるお問合せ内容に関する通知をお届けする場合があり、お客様の電話番号は株式会社LIFULLで一定期間保管されます
  • ※株式会社LIFULLの個人情報の取扱い方針に同意のうえ、お電話ください

LIFULL HOME'Sは物件鮮度No.1を目指していきます  物件情報に誤りがある場合はコチラからご連絡ください

【物件番号】
1701809-0001419
  • ※完成後1年未満で未入居の物件を「新築」と表示しております。
  • ※完成予想図やCG合成画像は、門塀・植栽・庭・外観等、実際とは多少異なる場合があります。

条件を削除すると新着お知らせメールの
配信が停止されますがよろしいですか?