新築一戸建て リナージュ 北本市西高尾23-1期
- 価格
- 2890万円
- 所在地
- 埼玉県北本市西高尾8
- 交通
- JR高崎線「北本」駅 徒歩20分JR高崎線「鴻巣」駅 車4.5kmJR高崎線「桶川」駅 車6.9km
乗り換え案内
- 土地面積
- 120.57m2(実測)
- 建物面積
- 86.94m2(実測)
- 間取り
- 3LDK
<当社、飯田グループの分譲住宅>断熱等級6を取得!税制面で優遇のある長期優良住宅
<物件周辺のご案内>●西小学校…歩10分 ●北本中学校…歩15分●ヤオコー…自転車6分 ●セブンイレブン…歩9分
●浴室換気乾燥機付きで雨の日の洗濯も安心●収納力抜群のウォークインクローゼット●防犯にも安心なTVモニター付きインターホン
0037-618-66825
無料
魅力1 ~家族にうれしい機能がたくさん!安心の家~
〇TVモニター付きインターホンなので、室内で来訪者を確認できます!防犯上も安心!
〇梅雨時にうれしい浴室換気乾燥機付き。
衣類の乾燥だけでなく、冬場の予備暖房や浴室のカビ予防にもなります!
〇季節の衣類、レジャー用品もたっぷり収納できるウォークインクローゼット♪たっぷりしまえるので、衣替えも楽々!
魅力2 ~スーパー、小学校、病院などが身近に揃う、暮らしやすい便利なエリア~
【買い物】
ピアシティ原馬室:徒歩32分(2500m)
ヤオコー北本中央店:徒歩17分(1300m)
いなげや北本駅前店:徒歩19分(1500m)
Yショップひたちや:徒歩2分(160m)
ドラッグセイムス北本西店:徒歩12分(950m)
【学校】
北本市立西小学校:徒歩10分(800m)
北本市立北本中学校:徒歩15分(1200m)
【病院】
北里大学メディカルセンター:徒歩35分(2750m)
魅力3 【ホームトレードセンター】による一括サポート!お気軽にお問い合わせください!
☆ホームトレードセンターは日本一の分譲実績を誇る飯田グループホールディングス株式会社唯一の不動産販売専門会社です。
専門知識の高い販売専門のプロがアフターケアまでしっかりとサポート致します!
マイホーム探しや住宅購入、お住まいの住み替えご相談ください♪
当社買い取り保証サービスもご好評いただいております。もちろん住宅ローンのシミュレーション、資金計画等も承っております。
0037-618-66825
無料
間取り図
0037-618-66825
無料
内観・室内
間取り・内観のこだわりポイント
- LDK15帖以上
- 4LDK以上
- バリアフリー
- 屋上・ルーフバルコニー
- ワイドバルコニー
- 南面バルコニー
- 全室2面採光
- 全室フローリング
0037-618-66825
無料
設備・仕様
-
【省エネ性能ラベル】
こちらの物件はZEH水準を満たした、省エ...
-
【浴室換気乾燥暖房機】
予備暖房や衣類の乾燥に使用できる乾燥機を...
-
【エコジョーズ】
少ないガス量で効率よくお湯を沸かす省エネ...
-
【TVモニター付きインターホン】
録画機能もあり、どのような人が何時に来訪...
-
【ウォークインクローゼット】
お子様との思い出もたっぷりしまえるウォー...
-
【浄水器内蔵型ハンドシャワー】
蛇口の先端に浄水器を内蔵。浄水シャワーが...
-
日本の気候風土に適した「木造軸組工法」
柱、梁などの「軸組み」で構造体を作り上げ...
-
腐食に強い「鋼製床束」で床を力強く支持
コンクリートで建物の下一面を支える工法。...
-
腐食に強い「鋼製床束」で床を力強く支持
サビやシロアリを寄せ付けない鋼製の床束を...
設備・仕様のこだわりポイント
- キッチン
-
- カウンターキッチン
- 浄水器・活水器
- 収納
-
- 床下収納
- ウォークインクローゼット
- シューズクローク
- 全居室収納
- その他設備
-
- 都市ガス
- シャワー付洗面化粧台
- 温水洗浄便座
- 浴室乾燥機
- トイレ2ヶ所以上
- 節水型トイレ
- 複層ガラス採用(二重サッシ・防犯サッシ等)
- 省エネ給湯器
- TVモニタ付インターホン
省エネ性能
- エネルギー消費性能:★★★★(削減率30%達成)
- 断熱性能:6段階/7段階
- 目安光熱費:約17.2万円/年 ※「省エネ性能ラベル」は特定の住戸の性能を示し、全ての住戸の性能を示していない場合があります。
0037-618-66825
無料
外観・分譲地
外観・分譲地のこだわりポイント
- 駐車場あり
- 低層住宅地
- 総戸数・総区画数が10以上〜30未満
- 地盤調査済
- 整形地
- 前面道路6m以上
- 平坦地
0037-618-66825
無料
周辺環境・地図
周辺環境のこだわりポイント
- コンビニ 400m以内
- 小学校 800m以内
- 複数路線
0037-618-66825
無料
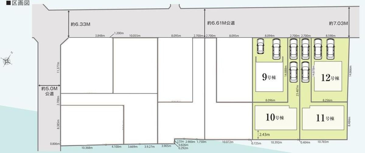
物件概要
| 所在地 | 埼玉県北本市西高尾8 | ||
|---|---|---|---|
| 交通 |
JR高崎線「北本」駅 徒歩20分 JR高崎線「鴻巣」駅 車4.5km JR高崎線「桶川」駅 車6.9km |
||
| 販売価格 | 2890万円 | 最多価格帯 | - |
| 建物面積 | 86.94m2(実測) | 土地面積 | 120.57m2(実測) |
| 間取り | 3LDK | 建物構造 | 木造2階建 |
| 販売スケジュール | 先着順受付中/販売中 | ||
| 販売戸数 / 総戸数 | 1戸 / 12戸 | ||
| 完成予定日 | 2025年6月 | 引き渡し可能年月 | 即引渡可 |
| 駐車場 | 2台 | 道路の幅員 | 道路幅:6.7m~6.9m、アスファルト舗装、北西側6.7m~6.9m公道 |
| 用途地域 | 第一種低層住居専用地域 | 都市計画 | - |
| 地目 | 雑種地 | 国土法 | - |
| 土地の権利 | 所有権 | 借地権の種類・期間 | - |
| 主たる設備の概要 | 公営水道、本下水、都市ガス | 建築確認番号 | 完成済みのため省略 |
| 施工会社 | - | 機構融資 | - |
| 売主 | 取引態様 | <仲介>飯田グループホールディングス ホームトレードセンター(株)大宮店 | |
| 備考 |
<その他制限事項> 景観法による規制有、高さ最高限度有、高さの限度10m <イベント情報> 現地見学会(事前に必ず予約してください) 日程/毎週土日祝 時間/9:00~18:00 ※平日も見学会を開催しております♪ ~~~~~◇◆ 現地見学ツアー開催!◆◇~~~~~ ▽貴重なお時間の中でご希望の情報をご提供します▽ 【内容(所要時間)】 (1) さくっと見学コース (30分~) (2) じっくり見学コース (60分~) (3) 納得見学コース (90分~) (4) まずは住宅ローン相談 (20分~) ※ファイナンシャルプランナーによる無料相談も開催 上記(1)~(4)の中でお好きな番号をお教え下さい! その他、お客様のご都合に合わせて調整します。 【資料請求(無料)】【電話で問い合わせ】から、 お日にち・時間帯のご指定が可能です! 平日やお仕事前・後のご見学もお待ちしております♪ ◇◆◇飯田グループだからこそ出来るご提案◆◇◆ 飯田グループホールディングスの直営販売窓口 【飯田】ホームトレードセンターだからこそ出来る ご提案があります! (1) お引き渡し後のアフターサービス・サポート (2) 直営窓口として物件をお得に購入できるご提案 (3) 豊富な提携銀行から低金利で住宅ローンを組めます 私達は日本で一番選ばれている分譲住宅メーカーです 一建設 株式会社 (リーブルガーデン) 株式会社 飯田産業 (ハートフルタウン) 株式会社 東栄住宅 (ブルーミングガーデン) タクトホーム 株式会社 (グラファーレ) 株式会社 アーネストワン(クレイドルガーデン) アイディホーム株式会社(リナージュ) ▽飯田の住宅は飯田で「お得」に「安心」して購入▽ 豊富な販売実績からお客様にとって最適で安心な 住まい探しをご提案させていただきます。 ◇◆◇◆◇◆◇◆◇◆◇◆◇◆◇◆◇◆◇◆◇◆◇◆ |
||
| 情報更新日 | 2026/05/19 | 次回更新予定日 | 2026/05/26 |
| 取引条件有効期限 | 2026/06/30 | ||
住宅性能・販売概要・権利のこだわりポイント
- 所有権
- 瑕疵担保付き
- 長期優良住宅
- 設計住宅性能評価書
- フラット35・S適合証明書
- 建設住宅性能評価書(新築時)
- 即入居可
0037-618-66825
無料
取扱い不動産会社
スタッフからのコメント
- テレビCMでおなじみ【飯田グループHD販売専門スタッフ】
- 得意エリア:埼玉県南部全域
コメント:お客様様のご要望に対し、最適なサービスを提供できる様に誠心誠意努めさせていただきます。お客様に良いお家のご提案が出来るよう、お手伝いさせていただきますのでよろしくお願いいたします。
この物件について:◆本日ご見学可!◆全12区画の新しい街並みの誕生♪飯田グループホールディングス唯一の販売専門会社のホームトレードセンターの社員が直接、当物件をご案内!お電話、メールでもお問い合わせをお待ちしております
渡辺 弘貴
ホームトレードセンター株式会社 大宮店の会社情報
お電話でのお問合せは「LIFULL HOME'S(ライフルホームズ)を見て」とお伝えください
飯田グループホールディングス ホームトレードセンター(株)大宮店
0037-618-66825
無料
- ※携帯電話はご利用いただけます
- ※光IP電話、及びIP電話をご利用のお客様はTEL:048-778-8270へご連絡ください
- ※携帯電話からお問合せいただいた方には、ショートメッセージ(SMS)またはLINE通知メッセージによるお問合せ内容に関する通知をお届けする場合があり、お客様の電話番号は株式会社LIFULLで一定期間保管されます
- ※株式会社LIFULLの個人情報の取扱い方針に同意のうえ、お電話ください
| 会社名 |
ホームトレードセンター株式会社 大宮店 |
|---|---|
| 免許番号 | 国土交通大臣 (3) 第 8044 号 |
| 所在地 | 埼玉県さいたま市大宮区大成町3丁目495番地 鳥浅ビル1階 |
| 所属団体 |
(公社)首都圏不動産公正取引協議会 |
この物件にお問合せする
実際に物件・周辺環境を見て検討したい!
近隣建物や接道の状況など資料で分からない部分も一目瞭然。 まずはWEBで事前予約、スムーズに見学しましょう
ご予約無しに直接ご来場された場合、担当者不在であったり、
他のお客様のご案内の都合上、お待たせしてしまうことがございます。
不動産会社に電話で相談したい!
飯田グループホールディングス ホームトレードセンター(株)大宮店
0037-618-66825
無料
電話でのお問合せは「LIFULL HOME'S(ライフルホームズ)を見て」とお伝えください
- ※携帯電話はご利用いただけます
- ※光IP電話、及びIP電話をご利用のお客様はTEL:048-778-8270へご連絡ください
- ※携帯電話からお問合せいただいた方には、ショートメッセージ(SMS)またはLINE通知メッセージによるお問合せ内容に関する通知をお届けする場合があり、お客様の電話番号は株式会社LIFULLで一定期間保管されます
- ※株式会社LIFULLの個人情報の取扱い方針に同意のうえ、お電話ください
LIFULL HOME'Sは物件鮮度No.1を目指していきます 物件情報に誤りがある場合はコチラからご連絡ください
- 【物件番号】
- 1701517-0000982
- ※完成後1年未満で未入居の物件を「新築」と表示しております。
- ※完成予想図やCG合成画像は、門塀・植栽・庭・外観等、実際とは多少異なる場合があります。
物件を再検索する
埼玉県の人気エリアから新築一戸建てを探す
- 川越市
- 熊谷市
- 川口市
- 行田市
- 秩父市
- 所沢市
- 飯能市
- 加須市
- 本庄市
- 東松山市
- 春日部市
- 狭山市
- 羽生市
- 鴻巣市
- 深谷市
- 上尾市
- 草加市
- 越谷市
- 蕨市
- 戸田市
- 入間市
- 朝霞市
- 志木市
- 和光市
- 新座市
- 桶川市
- 久喜市
- 八潮市
- 富士見市
- 三郷市
- 蓮田市
- 坂戸市
- 幸手市
- 鶴ヶ島市
- 日高市
- 吉川市
- ふじみ野市
- 白岡市
- 北足立郡伊奈町
- 入間郡三芳町
- 入間郡毛呂山町
- 入間郡越生町
- 比企郡滑川町
- 比企郡嵐山町
- 比企郡小川町
- 比企郡川島町
- 比企郡吉見町
- 比企郡鳩山町
- 比企郡ときがわ町
- 秩父郡横瀬町
- 秩父郡皆野町
- 秩父郡小鹿野町
- 児玉郡美里町
- 児玉郡神川町
- 児玉郡上里町
- 大里郡寄居町
- 南埼玉郡宮代町
- 北葛飾郡杉戸町
- 北葛飾郡松伏町














